€95,000 For Sale
Tremithousa Paphos
Residential Land
- Bedrooms
- Covered
366m² Plot

Residential Land FOR SALE
in Paphos, Tremithousa
REF. NO. 47744

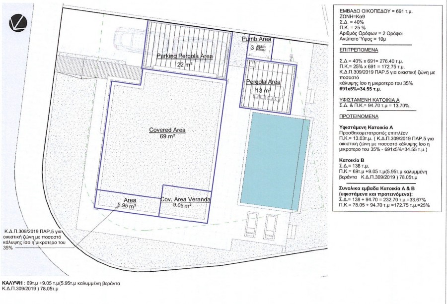
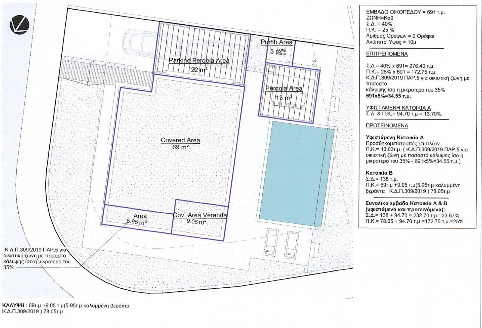
Residential corner plot located in a quiet and established residential area of Tremithousa, offering an excellent opportunity for immediate development with approved architectural plans and permits already in place for a modern 3-bedroom villa—saving valuable time and upfront costs. The plot benefits from a prime corner position, providing added privacy and flexibility in design, and is ideal for both permanent residence and investment. It falls within Zone Κα9 (Residential) with a building density of 40%, coverage of 25%, maximum height of 10 meters, and allowance for up to 2 floors, making it a ready-to-build opportunity in a desirable location. 

Airport: 30 min drive
Beach: 15 min Drive
Golf: 15 min Drive
Title deeds Available
Town: 5 min drive
Town: Walking distance
VIEW LOCATION MAP
THIS WEBSITE IS USING COOKIES
We use cookies to ensure that we give you the best experience on our website. If you continue using the site we assume that you are happy to receive all cookies on this site. Please make sure to read our cookies policy.